KG006823 - Bán đất 8.473m2 mặt tiền đê biển rộng 160m. Cách cầu vịnh Rạch Giá - An Biên 1,5km
Ngày đăng: 15/03/2026
Đăng bởi: Lê Văn Phúc
Giá: 10.000.000.000 đ(Mười tỷ đồng)
Diện tích: 8473m² Ngang: 160m Dài: 60m Hướng: Tây Bắc
Địa điểm: Kiên Giang, An Biên, Tây Yên
Diện tích: 8473m² Ngang: 160m Dài: 60m Hướng: Tây Bắc
Địa điểm: Kiên Giang, An Biên, Tây Yên
Hình ảnh
CHI TIẾT BẤT ĐỘNG SẢN
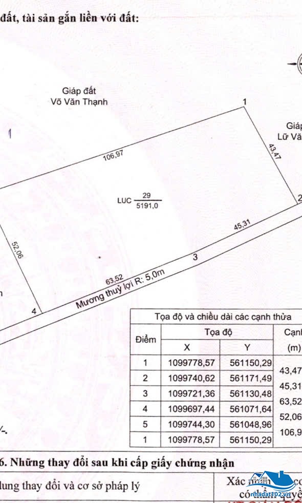
Bán đất 8.473m2 mặt tiền đê biển rộng 160m. Cách cầu vịnh Rạch Giá - An Biên 1,5km Địa chỉ: xã Tây Yên, huyện An Biên cũ. Nay là xã Tây Yên, An Giang 68 Cách cầu vượt biển Rạch Giá - An Biên 1,5km Mặt tiền đê biển 160m Chiều dài: Cạnh 55m và cạnh 65m Rất thích hợp phân lô Đang nuôi tôm Giá 1,2 tỷ/1.000m2 (thương lượng) Liên hệ: 0919 214 214
9.944360, 105.059280
CHIA SẺ BÀI VIẾT
THÔNG TIN NGƯỜI ĐĂNG
BẢN ĐỒ BẤT ĐỘNG SẢN
Các tin có thể bạn quan tâm
Bán nhà và 15 công đất vườn tại sông Cái Bé (xã Vĩnh Hòa Phú cũ - xã Bình An, tỉnh An Giang)
Mã tin:
KG000764
Địa điểm:
Kiên Giang
Diện tích:
15.051 m²
Hướng:
Đông
Giá:
2.600.000.000 đ
Lượt xem:
40002
Bán 8 công ruộng (1 vụ lúa, 1 vụ tôm), cách Ql63 khoảng 600m (xã Đông Thái, huyện An Biên. Nay là xã Đông Thái, An Giang 68)
Mã tin:
KG006822
Địa điểm:
Kiên Giang
Diện tích:
8.135 m²
Hướng:
Đông Bắc
Giá:
1.050.000.000 đ
Lượt xem:
100
Bán đất ruộng 10.215m2, cách đường 3/2 nối dài 400m (ấp Vĩnh Hội, xã Vĩnh Hòa Phú cũ - xã Bình An, An Giang 68)
Mã tin:
KG006817
Địa điểm:
Kiên Giang
Diện tích:
10.215 m²
Hướng:
Tây Bắc
Giá:
2.000.000.000 đ
Lượt xem:
265
Bán đất 600m2 mặt tiền đường La Văn Cầu (kênh Chín Bông) - phường Vĩnh Thông, An Giang
Mã tin:
KG006675
Địa điểm:
Kiên Giang
Diện tích:
600 m²
Hướng:
Đông Bắc
Giá:
450.000.000 đ
Lượt xem:
4306
Bán nhà vườn 3.154m2 mặt tiền đường Cao Văn Lầu, cách đường Huỳnh Tấn Phát 400m (phường Vĩnh Hiệp cũ. Nay là phường Rạch Giá, An Giang)
Mã tin:
KG006681
Địa điểm:
Kiên Giang
Diện tích:
3.154 m²
Hướng:
Đông
Giá:
7.000.000.000 đ
Lượt xem:
4203
Bán hơn 1 công đất ruộng rạch Tà Mưa (ấp Trung Thành, xã Phi Thông cũ - phường Vĩnh Thông, An Giang 68)
Mã tin:
KG006805
Địa điểm:
Kiên Giang
Diện tích:
1.159 m²
Hướng:
Đông Nam
Giá:
550.000.000 đ
Lượt xem:
575
Bán đất vườn 2.460m2 mặt tiền kênh 6, cách bến đò kênh 6 khoảng 1,5km (xã Thạnh Lộc, An Giang 68)
Mã tin:
KG006713
Địa điểm:
Kiên Giang
Diện tích:
2.460 m²
Hướng:
Tây Nam
Giá:
1.300.000.000 đ
Lượt xem:
5332
Bán đất ruộng 10 công mặt tiền sông Cù Là (ấp Hòa Thuận, xã Vĩnh Hòa Hiệp cũ - xã Bình An, An Giang 68)
Mã tin:
KG006486
Địa điểm:
Kiên Giang
Diện tích:
9.999 m²
Hướng:
Đông Nam
Giá:
2.950.000.000 đ
Lượt xem:
5388
Bán đất 8.150m2 đường nhánh Nguyễn Văn Nhị, cách chợ Rạch Sỏi 2,6km (phường Vĩnh Lợi cũ - phường Rạch Giá, An Giang)
Mã tin:
KG005725
Địa điểm:
Kiên Giang
Diện tích:
8.150 m²
Hướng:
Nam
Giá:
5.700.000.000 đ
Lượt xem:
23454
Bán đất 3.496m2 mặt tiền kênh Rạch Chát 2 (phường Vĩnh Hiệp cũ - P. Rạch Giá, An Giang)
Mã tin:
KG005826
Địa điểm:
Kiên Giang
Diện tích:
3.496 m²
Hướng:
Đông Nam
Giá:
4.545.000.000 đ
Lượt xem:
23774
Tin rao bán bất động sản đáng chú ý
Bán đất nền khu dân cư An Bình - Cách cảng cá Tắc Cậu khoảng 700m (xã Bình An, tỉnh An Giang)
Mã tin:
KG005616
Địa điểm:
Kiên Giang
Diện tích:
97 m²
Hướng:
Tây Bắc
Giá:
650.000.000 đ
Lượt xem:
33970
Bán đất nền đường Nguyễn Chí Thanh nối dài ( ấp Vĩnh Thành B, xã Vĩnh Hòa Hiệp cũ - xã Châu Thành, An Giang 68)
Mã tin:
KG004520
Địa điểm:
Kiên Giang
Diện tích:
157 m²
Hướng:
Đông Bắc
Giá:
1.790.000.000 đ
Lượt xem:
32978
Bán đất 645m2 đường Cây Xoài (kênh Thứ 3), cách chợ Thứ 3 khoảng 1,3km
Mã tin:
KG006824
Địa điểm:
Kiên Giang
Diện tích:
645 m²
Hướng:
Đông Bắc
Giá:
1.650.000.000 đ
Lượt xem:
22
Bán đất 8.473m2 mặt tiền đê biển rộng 160m. Cách cầu vịnh Rạch Giá - An Biên 1,5km
Mã tin:
KG006823
Địa điểm:
Kiên Giang
Diện tích:
8.473 m²
Hướng:
Tây Bắc
Giá:
10.000.000.000 đ
Lượt xem:
37
Bán nhà và 15 công đất vườn tại sông Cái Bé (xã Vĩnh Hòa Phú cũ - xã Bình An, tỉnh An Giang)
Mã tin:
KG000764
Địa điểm:
Kiên Giang
Diện tích:
15.051 m²
Hướng:
Đông
Giá:
2.600.000.000 đ
Lượt xem:
40002




















